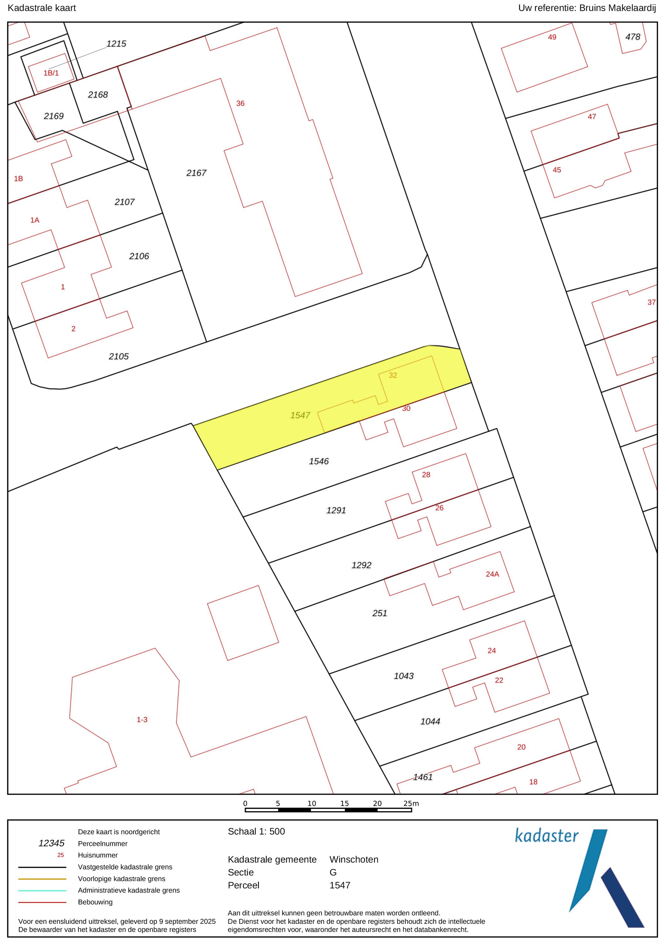
Oudewerfslaan 32

9675 ET Winschoten

392m2 / 312 m2 - 5 kamers

Vraagprijs : € 300.000 K.K.

Verkocht

Omschrijving

Welkom bij deze twee-onder-een-kapwoning in het centrum van Winschoten. Bij deze instapklare, gemoderniseerde en onderhoudsarme woning komen comfort en sfeervol wonen samen op een prachtige locatie. De woning beschikt over een riante zonnige woonkamer, een moderne half-open keuken, luxe badkamer met separaat toilet, met op de verdieping 3 slaapkamers en een modern toilet. In de met zorg aangelegde tuin bevinden zich het zonneterras, de garage en de schitterende veranda om van de heerlijke lange zomeravonden te genieten. De ligging is gunstig op loopafstand van het stadscentrum met al zijn voorzieningen zoals scholen, trein-en busstation, cultuur, sportverenigingen en het ruime winkelaanbod.

Indeling:

Begane Grond:
Entree aan de voorzijde voorzien van provisiekelder, trapopgang naar de eerste verdieping en toegang tot de sfeervolle woonkamer uitgerust met een luchtwarmtepomp voor verwarmen en koelen en openslaande deur naar het terras, achterhal met achterentree, halfopen moderne keuken welke is voorzien van Boretti 5-pits gaskookplaat met oven, afzuigkap, vaatwasser en veel bergruimte in de inbouwkasten, modern separaat toilet en luxe badkamer voorzien van royale douchhoek met regendouche, wasmeubel en designradiator.

Eerste verdieping:
Middels de gesloten trap in de hal komen we op de overloop, hier bevinden zich het moderne toilet en de drie slaapkamers, waarvan de master bedroom is uitgerust met een luchtwarmtepomp voor verwarmen en koelen en een draai-kiepdeur naar het platdak.

Zolder:
De bergzolder is te bereiken middels de vlizotrap op de overloop van de eerste verdieping.

Tuinen en garage:
De voor-en achtertuin zijn met zorg aangelegd, de achtertuin is bereikbaar middels toegang aan de rechterzijde en is voorzien van een grote houten garage en een heerlijke veranda om van de lange zomeravonden te genieten.

Bijzonderheden:
-Leuke twee-onder-een-kapwoning op centrale locatie;
-Moderne luxe keuken 2019;
-Moderne luxe badkamer en wc's;
-CV 2022 met vloerverwarming en radiatoren;
-Twee luchtwarmtepompen voor verwarmen en koelen 2024;
-Moderne meterkast;
-Royale tuin met veranda en achterom;
-Grote houten garage en overkapping;
-Kunststof kozijnen met HR++ / HR+++ beglazing;
-Kunststof goten en boeidelen;
-Kruipruimte, vloer, spouw en dakisolatie
-12 Zonnepanelen.
-Bevingschade, SNN en Subsidie Woningverbetering benut.

Ben jij enthousiast geworden van deze leuke woning?, neem dan contact op met ons kantoor voor meer informatie of een bezichtiging, wij staan graag voor jou klaar!

Kenmerken woning

Overdracht

Status:
Verkocht
Vraagprijs:
300.000 K.K.
Aanvaarding:
in overleg

Bouwvorm

Bouwjaar:
1940
Bouwvorm:
bestaande bouw

Indeling

Woonoppervlakte:
101 m2
Perceeloppervlakte:
312 m2
Inhoud:
392 m3
Aantal kamers:
5
Aantal slaapkamers:
3

Energie

Bouwjaar:
2022
Warmwater:
cv ketel
Eigendom cv:
eigendom
Energie Label:
B

Buitenruimte

Tuin:
achtertuin: fraai aangelegd, voortuin: fraai aangelegd, zijtuin: fraai aangelegd,
Tuin oppervlakte:
181 m2

Dak

Soort dak:
samengesteld dak - pannen,bitumineuze dakbedekking

Overig

Permanente bewoning:
ja
Onderhoud binnen:
goed
Onderhoud buiten:
goed
Huidig gebruik:
Woonruimte
Huidige bestemming:
Woonruimte

Voorzieningen

Soort:
mechanische ventilatie, glasvezel kabel, zonnepanelen, natuurlijke ventilatie,

Kaart

Plattegrond woning