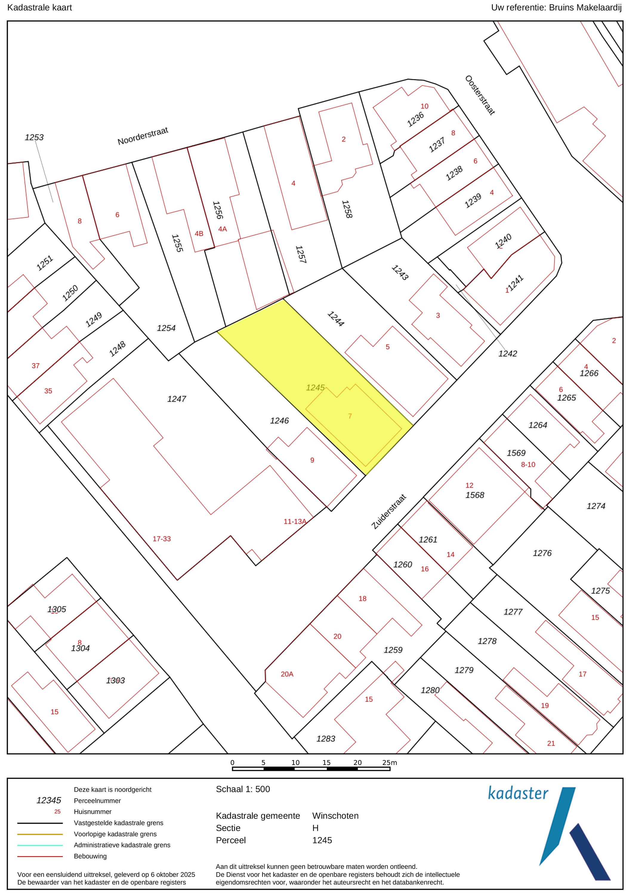
Zuiderstraat 7

9671 GP Winschoten

562m2 / 338 m2 - 6 kamers

Vraagprijs : € 315.000 K.K.

Verkocht

Omschrijving

Ben jij opzoek naar een instapklaar en sfeervol huis rustig gelegen maar toch midden in het centrum van Winschoten?, dan is deze woning wat voor jou!, De woning is in de afgelopen jaren met liefde en toewijding verbouwd en gemoderniseerd met respect voor het verleden en oog voor detail.

Indeling:

Begane grond:
Entree aan de voorzijde in de stijlvolle hal middels prachtige voordeur met authentieke glas in lood details, met aan de rechterzijde de slaapkamer met aansluitende de voormalige badkamer thans in gebruik als wasruimte, en aan de linkerzijde van de hal toegang naar de sfeervolle woonkamer met eetkamer en-suite vol authentieke details zoals de prachtige suitedeuren, balkenplafond en PVC visgraatvloer, met aan de achterzijde de knusse tuinkamer met schuifpui naar het zonneterras, aansluitend aan de eetkamer bevindt zich de halfopen luxe keuken (2023) uitgerust met Smeg 5-pits gasfornuis met oven, afzuigkap, grote koelkast met vriesvak, vaatwasser, quooker en koffiebar volledig passend bij de stijl van het huis en trapopgang voorzien van garderobe nis en vaste trap naar de eerste verdieping, achterhal voorzien van witgoedkast, toilet en deur naar de tuin.

Eerste verdieping:
Via de trap in het halletje naast de keuken komen we op de overloop van de eerste verdieping, hier bevinden zich de bergruimte, de twee slaapkamers en de luxe badkamer (2022) voorzien van inloopdouche, wasmeubel, ligbad, zwevend toilet en designradiator.
De slaapkamer aan de voorzijde is voorzien van een lucht-lucht warmtepomp voor verwarmen en koelen.

Tuin:
In de royale achtertuin bevinden zich het zonneterras, de grote houten garage met overkapping en de heerlijke veranda (2022) om te genieten van de lange zomeravonden.

Bijzonderheden:
-Karakteristiek en stijlvol wonen midden in het centrum;
-Prachtig verbouwd met oog voor detail;
-Instapklaar, sfeervol en comfortabel;
-Nieuwe keuken (2023) en nieuwe badkamer (2022);
-CV (2022) met vloerverwarming en radiatoren;
-Begane grond en verdieping voorzien van luchtwarmtepomp voor verwarmen en koelen;
-Grotendeels isolerende beglazing;
-Vloer, wand-en dakisolatie;
-Zonnepanelen 12 stuks, label C;
-Garage, overkapping en veranda;
-Netjes bewoond en goed onderhouden.

Ben jij enthousiast geworden van deze prachtige woning?, neem dan contact op met ons kantoor, wij staan graag voor jou klaar!

Kenmerken woning

Overdracht

Status:
Verkocht
Vraagprijs:
315.000 K.K.
Aanvaarding:
in overleg

Bouwvorm

Bouwjaar:
1921
Bouwvorm:
bestaande bouw

Indeling

Woonoppervlakte:
131 m2
Perceeloppervlakte:
338 m2
Inhoud:
562 m3
Aantal kamers:
6
Aantal slaapkamers:
3

Energie

Bouwjaar:
2020
Warmwater:
cv ketel
Eigendom cv:
eigendom
Energie Label:
C

Buitenruimte

Tuin:
achtertuin: verzorgd,
Tuin oppervlakte:
150 m2

Dak

Soort dak:
samengesteld dak - pannen,bitumineuze dakbedekking

Overig

Permanente bewoning:
ja
Onderhoud binnen:
goed
Onderhoud buiten:
goed
Huidig gebruik:
Woonruimte
Huidige bestemming:
Woonruimte

Voorzieningen

Soort:
tv kabel, airconditioning, schuifpui, dakraam, glasvezel kabel, zonnepanelen, natuurlijke ventilatie,

Kaart

Plattegrond woning